Взрыв дома в Волгограде на Университетском проспекте

Тема в разделе "Волгоград", создана пользователем TIGRA_001, 16.05.17.

  1. Igor_M

    Igor_M Активный участник

    4.731
    110
    Вы так договор подписали. Там можно выбрать раз в год или в три года. Можете перезаключить договор.
     
  2. Tsess

    Tsess Участник

    361
    0
    Igor_M, даже раз в год это очень много.
     
  3. pe2x

    pe2x Активный участник

    7.768
    66
    посмотрел фото, 2,3,4,5 завалились с лицевой стороны потому что стена несущая внизу ушла, рухнили перекрытия и крыша
    первый этаж стены целы с внешней стороны ниже площадки
    внутренняя сторона вырвана полностью 1,2 этаж
    получается взрыв был или на 1 или на 2 этаже, скорее на 2
    трактор тогда ничего задеть не мог, так как разрушения выше
     
  4. Agestar

    Agestar Читатель

    614
    104
    кто как считает, весь дом под снос пойдет или только его часть?
     
  5. TimonXX

    TimonXX Участник

    342
    1
    дом старый, нечего хранить его.
     
  6. _m_a_d_m_a_n_

    _m_a_d_m_a_n_ Активный участник

    6.456
    746
    Вообще запретить газ в многоквартирных домах. Только частник и котельные.
    Лично бывал в квартирах где газом просто воняло, а жильцам пох. Я вообще удивляюсь, что так редко взрывы.
     
  7. PanProfessor

    PanProfessor Активный участник

    4.297
    43
    в этом случае все вокруг былобы завалено кирпичом и целых машин не былоб. как раз очень похоже что взрыв пошел снаружи дома внутрь.
     
  8. pe2x

    pe2x Активный участник

    7.768
    66
    да, видно что взрывная волна ушла во двор, а с внешней стороны даже окна целы, кухни как раз ближе к внешней стороне, во дворе все завалено кирпичем, машины побитые

    со двора притащили:
    [​IMG]


    PanProfessor, думаешь снаружи источник был? бомбу откопали? но стены цоколя и первого этажа норм. больше похоже что изнутри
     
  9. zaqwsx

    zaqwsx Активный участник

    17.581
    1.963
    Правоохранители допросили работника аварийной газовой службы, пострадавшего от взрыва в четырехэтажке в Волгограде

    Подтверждаются данные информагентства «Высота 102» о том, что в доме №60 по проспекту Университетский, где сегодня произошел взрыв, в момент происшествия работала бригада аварийной газовой службы. Как сообщает корреспондент ИА «Высота 102», один из рабочих, получивший травму головы, уже допрошен правоохранителями.
    Напомним, по предварительной версии, взрыв в доме произошел из-за бытового газа. Обнаружена тела двоих погибших, десять человек получили ранения. На месте развернут оперативный штаб. К разбору завалов приступила вторая бригада спасателей после ухода на отдых первой. Организована прокурорская проверка по факту происшествия на предмет соблюдения законодательства при эксплуатации и обслуживании газового оборудования. В эти минуты началось совещание в оперативном штабе.

    высота 102
     
  10. PanProfessor

    PanProfessor Активный участник

    4.297
    43
    "По официально неподтвержденным данным источник взрыва находился снаружи дома. Рядом с торговыми павильонами экскаватором велись земляные работы. В ходе раскопок грунта была задета труба газопровода. Именно разрытая яма и стала источником сильного запаха газа. На место прибыл и специализированный грузовик аварийной газовой службы, который до сих пор стоит возле взорвавшегося дома"

    очень похоже на правду, как раз объясняет почему мало пострадали подвал и чать первого этажа, взрывная волна пошла вверх и вбок из котлована.

    ---------- Сообщение добавлено 16.05.2017 15:09 ----------

    особо удивляют индивидумы которые утверждают "нет пожара - значит это не газ взорвался" как раз пожары можно очень эффективно взрывной волной погасить, и газ при взрыве не горит потом так как нефть или бензин.
     
  11. Blinoff

    Blinoff Активный участник

    4.493
    19
    Это ж если и вправду повредили трубу, как же всё банально... Соболезнования погибшим. Скорейшего выздоровления пострадавшим. Узнал от дочки, позвонила после школы, школа рядом (через остановку), у её одноклассницы бабушка пошла на рынок , там напротив дома, на телефон не отвечает...
     
  12. pe2x

    pe2x Активный участник

    7.768
    66
    фото как было и как стало
     

    Вложения:

  13. PanProfessor

    PanProfessor Активный участник

    4.297
    43
    мне вот интересно, а где хваленые вертушки для 25й больницы? или только взлетную площадку построили? пока от университетского до 25-й довезешь, пострадавший умереть может.
     
  14. pe2x

    pe2x Активный участник

    7.768
    66
    т.е. кап. кирпичные стены даже изнутри как сдуло, а эксковатор даже не покасился, ... хм, да и стена первого этажа цела, как из ямы сразу на второй пошла, может быть конечно
     
  15. Blinoff

    Blinoff Активный участник

    4.493
    19
    Настораживает то, что дом находится прямо напротив отдела полиции. Не сторонник "теорий заговоров", но совпадение, как мне кажется, не случайное.
     
  16. x25

    x25 Активный участник

    5.454
    2
    Прямая трансляция
    [ame]https://www.youtube.com/watch?v=q99K0LLUsaE[/ame]
     
  17. pe2x

    pe2x Активный участник

    7.768
    66
    по другим фото видно что эксковатор впечатало в дерево, да весьма похоже что рвануло снуражи
     
  18. PanProfessor

    PanProfessor Активный участник

    4.297
    43
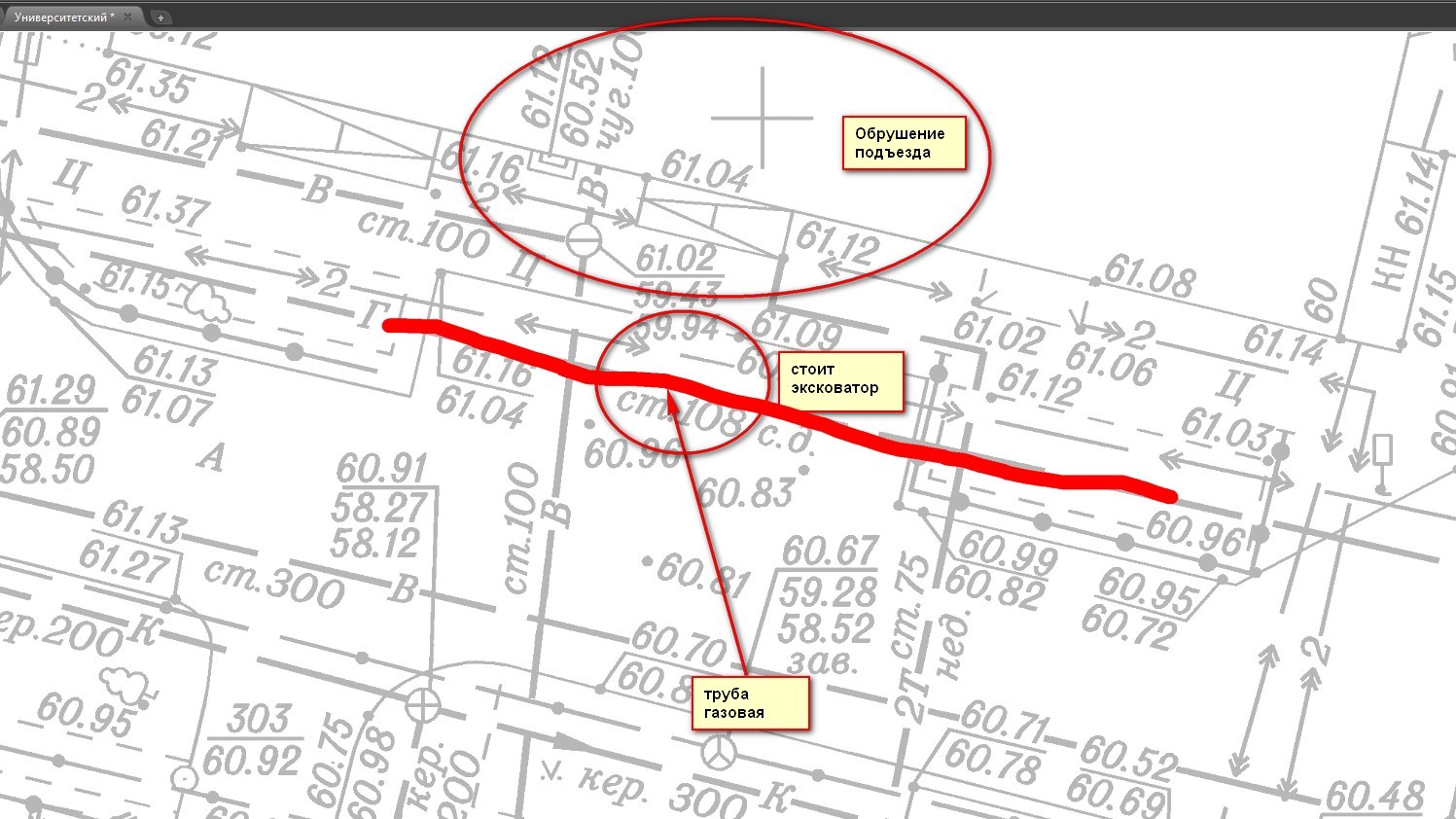
    pe2x, посмотрел сейчас топосъемку, реально в том месте где стоит трактор под землей идет газовая труба среднего давления.
     

    Вложения:

    • газ.jpg
      газ.jpg
      Размер файла:
      255,8 КБ
      Просмотров:
      897
  19. Участник_1

    Участник_1 Активный участник

    1.141
    214
    или в другой стране, а лучше в этой, но не при нынешнем режиме
     
  20. pe2x

    pe2x Активный участник

    7.768
    66
    [​IMG]

    ---------- Сообщение добавлено 16.05.2017 16:24 ----------

    причем тут полиция, это такие же простые люди как и вы и я, ничего там никто не затевает
     
  21. Blinoff

    Blinoff Активный участник

    4.493
    19
    x25, прямая трансляция
    Почему не разбирают завалы? Наверняка есть люди там?
     
  22. Agestar

    Agestar Читатель

    614
    104
    а почему никто не пытается добраться до магазина? он точно под завалами, там наверняка остались люди!
     
  23. Rukav

    Rukav Читатель

    1.161
    8
    Люди прошарили как надо переезжать в новые хаты.
    А сколько экспертов сразу собралось... пару недель талдычеть будете
     
  24. Blinoff

    Blinoff Активный участник

    4.493
    19
    pe2x, ещё раз повторю я не сторонник, но всё же. Если смотреть более глобально, на носу ЧМ по ногемячу, это всё не случайно. А врагов у нас слишком много...

    ---------- Сообщение добавлено 16.05.2017 15:31 ----------

    Rukav, всегда найдутся ребята пошутить на крови, побойтесь Бога.
     
  25. Blinoff

    Blinoff Активный участник

    4.493
    19
    15:39
    Гребенюк: продолжаются поисковые работы. Разбирать завалы начнут сверху, двигаясь вниз к подвалу
    15:37
    В других подъездах выбиты окна и двери
    15:35
    Гребенюк: основной удар пришелся на 3 и 4 подъезд. Там проживали 24 человека
    15:34
    Под завалами еще наверняка находятся люди. Доступа к подвальным помещенкиям пока нет. Там расположен магазин
    15:31
    7 пострадавших в 7-й больнице, один в 25-й. Трое в очень тяжелом состоянии
    15:27
    Из-под завалов извлекли двоих погибших: мужчину и женщину

    ---------- Сообщение добавлено 16.05.2017 15:59 ----------

    Скорее всего опасность обрушения не даёт проводить разбор завалов.
     
  26. DVR

    DVR Активный участник

    21.876
    331
    https://youtu.be/d4-MlMucUwU

    Почти прямой эфир...

    ---------- Сообщение добавлено 16.05.2017 16:08 ----------

    [ame]https://youtu.be/UipEzDsQ0cM[/ame]

    И ещё немного... печаль, конечно
     
  27. PanProfessor

    PanProfessor Активный участник

    4.297
    43
    по моему скромному мнению весь дом сносить смысла нет. дом кирпичный а не панелька, это там связи рвутся сразу при взрыве. достаточно снести часть дома перпендикулярную университетскому и превратить дом в обычный дом а не буквой Г.
     
  28. Зуб

    Зуб Участник

    16.109
    1.949
    Там вертушке сесть негде, в городе их использовать никто не собирается.
    Ближайшие больницы СМП - 7 и 15.
    Если пострадавшего откопали живого после нескольких часов пребывания в завале, то 15 минут как правило уже роли не играют.
     
  29. Nickey

    Nickey Активный участник

    10.174
    237
    Сомневаюсь что взрыв снаружи. Типичная картина вынесенного подъезда, как в других случаях взрыва газа внутри дома.
     
  30. Шелудивый кот

    Шелудивый кот Активный участник

    12.873
    944
    Слабо себе представляю как можно снести часть кирпичного дома...